4552 Point White Drive Ne #a&b, Bainbridge Island, Washington 98110

WA, Bainbridge Island
$1,250,000
  • 0.60 Acre
  • Land Property Type
  • Active Status
Property Description

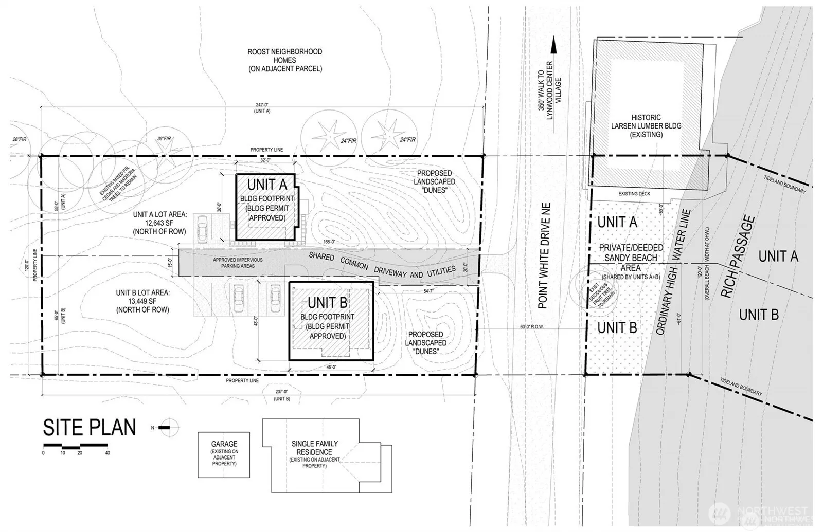
Unique building opportunity near Lynwood Center. This private waterfront, no-bank, sandy beach offering consists of Lot A + Lot B – airspace condo lots that were previously owned separately. Lot A has active permit for a 900sf unit, Lot B has an active permit for primary residence. Permitted plans included in the list price. Build as designed, or submit for a permit revision to construct your own design within the approved building sites. Close to restaurants, shops, parks, and the extensive Gazzam Lake Trail Network. Don’t miss out on this opportunity to build your dreams and be part of all that Lynwood Center and Pleasant Beach Village have to offer!

Source: NWMLS
Basic Details
  • Property Type: Land
  • Listing Type: For Sale
  • Listing ID: 2471988
  • Price: $1,250,000
  • View: Bay,Sound
  • Lot Area: 0.60 Acre
  • Status: Active
  • Office Name: Realogics Sotheby's Int'l Rlty
  • Agent Name: Allen Turnbull
  • Property Sub Type: Land
  • Waterfront: 1
Features
  • Sewer In Street, Available
  • Utilities Electricity Available
  • Waterfront Features Low Bank
Address Map
  • Country US
  • State WA
  • County Kitsap
  • City Bainbridge Island
  • Zipcode 98110
  • Street: Point White
  • Street Number: 4552
  • Street Suffix: Drive
  • Longitude: W123° 27' 1.9''
  • Latitude: N47° 36' 16.3''
  • Directions: Head West on Point White Drive from Lynwood Center approximately 500', just past ROOST and The Larson Lumber Building.
  • Mls Area Major: 170 - Bainbridge Island
  • Street Dir Suffix: NE
  • Unit Number: A&B
Neighborhood
  • Elementary School: Buyer To Verify
  • High School: Buyer To Verify
  • High School District: Bainbridge Island
  • Middle School: Buyer To Verify
Additional Information
  • Water Source: In Street, Available
  • Possible Use: Residential
  • On Market Date: 2026-01-25
  • Accessibility Features: CCRs
  • Lot Features: Paved
  • Community Features: CCRs
Financial
  • Association Yn: 1
  • Tax Annual Amount: 10043
Listing Information
  • List Agent Mls Id: 44368
  • List Office Mls Id: 2232
  • Listing Term: Cash Out
  • Mls Status: Active
  • Modification Timestamp: 2026-01-29T00:14:11Z
  • Originating System Name: NWMLS
  • Special Listing Conditions: None
  • Status Change Timestamp: 2026-01-25T18:27:00Z
Rene  Orona
Rene Orona SKYLINE PROPERTIES, INC.
  • +1-425-891-8162
  • rene@brokerofrealestate.com
  • 50 116TH AVE SE STE 120 Bellevue, WA 98004, United States
  • +1-425-732-9211

Similar Properties

MLS On The Fly