32 Lake Louise Drive, Bellingham, Washington 98229

WA, Bellingham
$79,900
  • 0.14 Acre
  • Land Property Type
  • Closed Status
Property Description

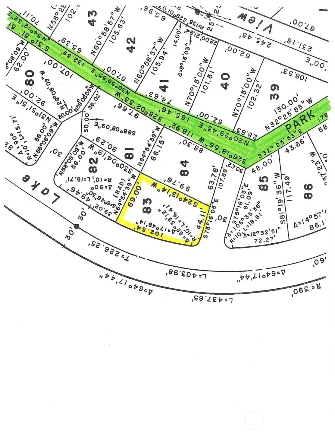
This fully serviced, residential vacant lot has a wonderful location in the golf course & Lake Louise neighborhood of Sudden Valley. The property is up-sloping from Lake Louise Dr., and has over 102 feet of road frontage – which greatly assists in design options for a custom home plan. There is also an un-used 30 foot access easement for a driveway associated with this property – on the right side of the lot. Use it in your design, or it can merely remain a wonderful green-space buffer. This property overlooks the 10-lot waterfront subdivision of Whispering Cedars, on Lake Louise. Great location, homes & western sun exposure. Short distance to the Lake Louise Trail, Club House, golf course & recreation corridor. Natural gas available.

Source: NWMLS
Basic Details
  • Property Type: Land
  • Listing Type: For Sale
  • Listing ID: 2466812
  • Price: $79,900
  • View: Territorial
  • Lot Area: 0.14 Acre
  • Status: Closed
  • Office Name: RE/MAX Whatcom County, Inc.
  • Agent Name: Greg Paul
  • Property Sub Type: Land
Features
  • Sewer Available
  • Utilities Electricity Available, Natural Gas Available, Snow Removal
Address Map
  • Country US
  • State WA
  • County Whatcom
  • City Bellingham
  • Zipcode 98229
  • Street: Lake Louise
  • Street Number: 32
  • Street Suffix: Drive
  • Longitude: W123° 40' 35.9''
  • Latitude: N48° 42' 36.9''
  • Directions: Lake Whatcom Blvd. to Sudden Valley Gate-2. Continue on Marigold Dr. and turn right on Lake Louise Dr.
  • Mls Area Major: 850 - Sudden Valley
  • Zoning: Urban Res. 3DU/A
Neighborhood
  • Elementary School: Geneva Elem
  • High School: Bellingham High
  • High School District: Bellingham
  • Middle School: Kulshan Mid
Additional Information
  • Lot Size Dimensions: 102' x 77' x 99' x 69'
  • Water Source: In Street, Available
  • Possible Use: Residential
  • On Market Date: 2026-01-09
  • Accessibility Features: CCRs, Playground, Club House, Park, Trail(s), Athletic Court, Boat Launch, Golf
  • Lot Features: Paved
  • Community Features: Athletic Court, Park, Playground, Trail(s), CCRs, Boat Launch, Club House, Golf
Financial
  • Association Fee: 158.79
  • Association Fee Frequency: Monthly
  • Association Fee Includes: Common Area Maintenance, Security, Road Maintenance, Snow Removal
  • Association Yn: 1
  • Tax Annual Amount: 232.8
Listing Information
  • List Agent Mls Id: 45163
  • List Office Mls Id: 9738
  • Listing Term: Cash Out,Conventional
  • Mls Status: Sold
  • Modification Timestamp: 2026-01-28T20:11:11Z
  • Originating System Name: NWMLS
  • Special Listing Conditions: None
  • Status Change Timestamp: 2026-01-28T20:08:58Z
Rene  Orona
Rene Orona SKYLINE PROPERTIES, INC.
  • +1-425-891-8162
  • rene@brokerofrealestate.com
  • 50 116TH AVE SE STE 120 Bellevue, WA 98004, United States
  • +1-425-732-9211

Similar Properties

MLS On The Fly