243 -12 Collins Road, Toledo, Washington 98591

WA, Toledo
$215,000
  • 2 Acre
  • Land Property Type
  • Active Status
Property Description

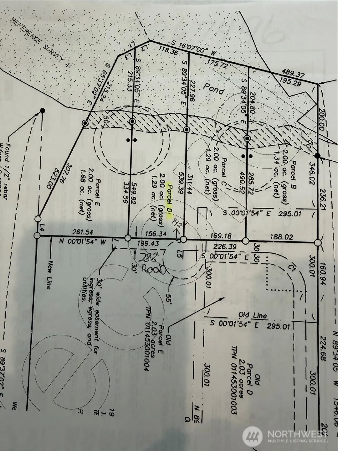
Peaceful and serene 2 acre secluded lakefront homesite. Well and pump are installed with 20 gallons per minutes. Flat, level open space for home and shop. This property has CC&R’s and Road Maintenance. The CC &R’s state that the dwelling size and quality have minimum square footage of living area for single family home of 750 square feet, excluding the garage. There is enough room to build a home and shop (buyer to verify). No large animals or livestock allowed. This property has a beautiful view and sunsets, is close to downtown Toledo and only 5 minutes to town, 10 minutes to I-5, and 20 minutes to Longview and Chehalis.

Source: NWMLS
Basic Details
  • Property Type: Land
  • Listing Type: For Sale
  • Listing ID: 2486686
  • Price: $215,000
  • View: Lake,Pond,Territorial
  • Lot Area: 2 Acre
  • Status: Active
  • Office Name: List4FlatFee.com, LLC
  • Agent Name: Stacie Whitfield
  • Property Sub Type: Land
  • Waterfront: 1
Features
  • Sewer Not Available
  • Utilities Electricity Available
  • Waterfront Features High Bank
Address Map
  • Country US
  • State WA
  • County Lewis
  • City Toledo
  • Zipcode 98591
  • Street: Collins
  • Street Number: 243 -12
  • Street Suffix: Road
  • Longitude: W123° 10' 13.1''
  • Latitude: N46° 26' 46.6''
  • Directions: I-5 exit 63, East on State route 505. Through town over the bridge. Turn left on Collins Road to 1 mile on left side to for sale sign with arrow.
  • Mls Area Major: 432 - Napavine
Neighborhood
  • Elementary School: Toledo Elem
  • High School: Toledo High
  • High School District: Toledo
  • Middle School: Toledo Mid
Additional Information
  • Water Source: Drilled Well, Private Well
  • Possible Use: Agricultural,Residential
  • On Market Date: 2026-03-03
  • Lot Features: Dead End Street, Open Space
Financial
  • Tax Annual Amount: 886
Listing Information
  • List Agent Mls Id: 37046
  • List Office Mls Id: 145
  • Listing Term: Cash,Conventional
  • Mls Status: Active
  • Modification Timestamp: 2026-04-02T12:06:51Z
  • Originating System Name: NWMLS
  • Special Listing Conditions: None
  • Status Change Timestamp: 2026-03-03T22:31:07Z
Rene  Orona
Rene Orona SKYLINE PROPERTIES, INC.
  • +1-425-891-8162
  • rene@brokerofrealestate.com
  • 50 116TH AVE SE STE 120 Bellevue, WA 98004, United States
  • +1-425-732-9211

Similar Properties

MLS On The Fly