6210 Dash Point Boulevard Ne, Tacoma, Washington 98422

WA, Tacoma
$750,000
  • 0.70 Acre
  • Land Property Type
  • Active Status
Property Description

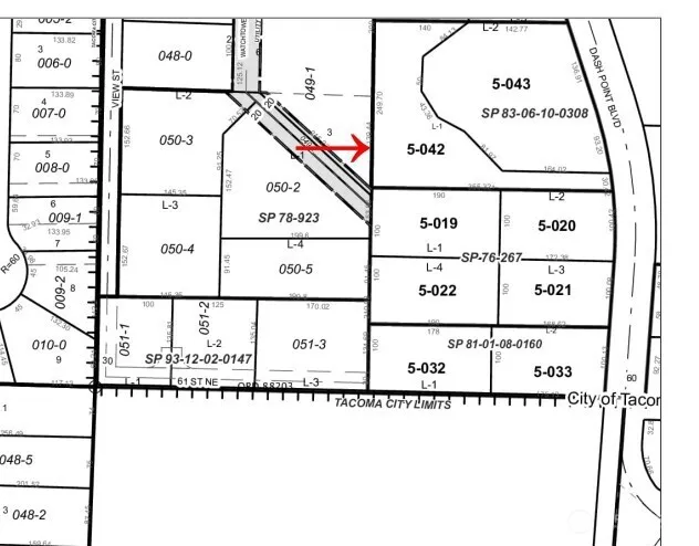
Rare opportunity in Pierce County’s Urban Growth Area! This approx. 0.7-acre parcel offers exciting development potential with a partial short plat for three lots completed, providing a head start for builders and investors. Access to these lots is from Watchtower Rd. NE, yet it looks like there may be access from Dash Point Rd. Located within the UGA, the property benefits from growth-oriented zoning that supports additional residential development (buyer to verify). Geotechnical Engineering report avaialble up[on request. The site features captivating Puget Sound and mountain views, adding premium appeal for future homes. Recent price point for sales in the area have been over $1,000,000.00+. Utilities are available in the street, and the location offers convenient access while maintaining a sense of privacy. Whether completing the existing short plat, exploring further development potential, or keeping the property as -is and building your own dream estate! This is a standout investment opportunity in a highly desirable setting.

Source: NWMLS
Basic Details
  • Property Type: Land
  • Listing Type: For Sale
  • Listing ID: 2511909
  • Price: $750,000
  • View: Mountains,Sound,Territorial
  • Lot Area: 0.70 Acre
  • Status: Active
  • Office Name: Keller Williams Realty PS
  • Agent Name: Julia Galleher
  • Property Sub Type: Land
Features
  • Sewer In Street, Available
  • Utilities Electricity Available
Address Map
  • Country US
  • State WA
  • County Pierce
  • City Tacoma
  • Zipcode 98422
  • Street: Dash Point
  • Street Number: 6210
  • Street Suffix: Boulevard
  • Longitude: W123° 34' 39.6''
  • Latitude: N47° 18' 48.3''
  • Directions: West on Northshore Parkway, take a Right on Browns Point Blvd. Take the 1st left on Watchtower Rd, property will be on the right.
  • Mls Area Major: 94 - Browns Point
  • Street Dir Suffix: NE
Neighborhood
  • Elementary School: Buyer To Verify
  • High School: Buyer To Verify
  • High School District: Tacoma
  • Middle School: Buyer To Verify
Additional Information
  • Lot Size Dimensions: 354x246x139x85x92x123x159x27
  • Water Source: In Street
  • Possible Use: Residential,See Remarks
  • On Market Date: 2026-04-05
  • Lot Features: Paved, Secluded
Financial
  • Tax Annual Amount: 2938
Listing Information
  • List Agent Mls Id: 98282
  • List Office Mls Id: 9861
  • Listing Term: Cash,Conventional
  • Mls Status: Active
  • Modification Timestamp: 2026-04-27T16:27:11Z
  • Originating System Name: NWMLS
  • Special Listing Conditions: None
  • Status Change Timestamp: 2026-04-22T21:48:19Z
Rene  Orona
Rene Orona SKYLINE PROPERTIES, INC.
  • +1-425-891-8162
  • rene@brokerofrealestate.com
  • 50 116TH AVE SE STE 120 Bellevue, WA 98004, United States
  • +1-425-732-9211

Similar Properties

MLS On The Fly