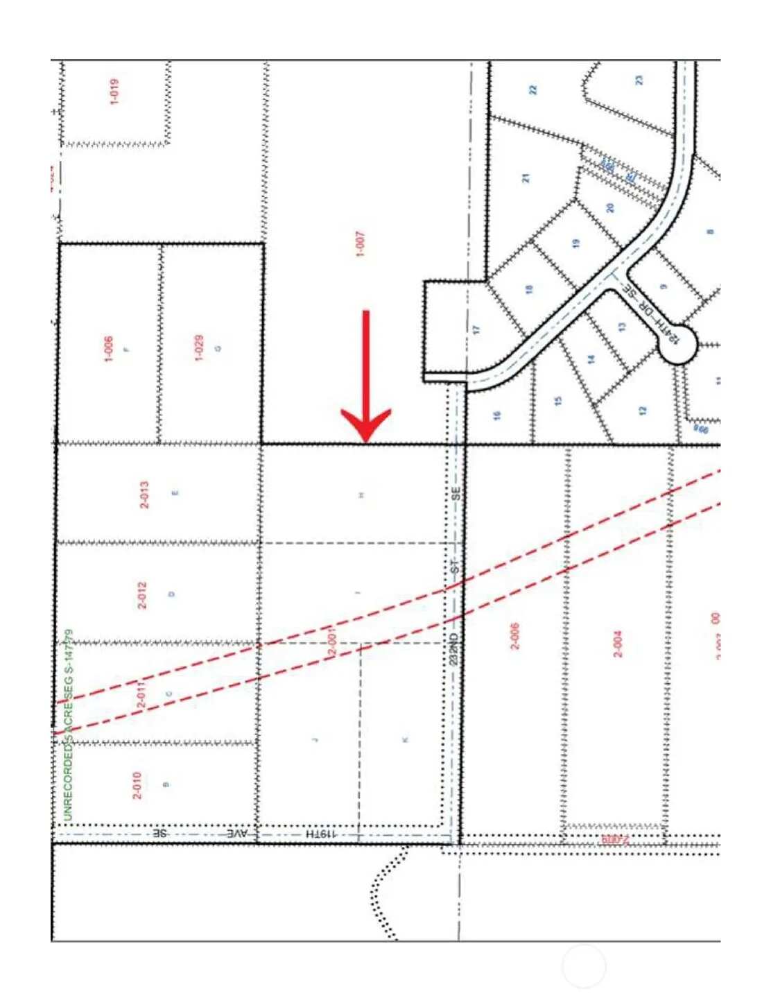
12215 232 Street Se, Woodinville, Washington 98077

WA, Woodinville
$649,880
  • 5.01 Acre
  • Land Property Type
  • Active Status
Property Description

Next to Paradise Lake Nature preserve with miles of hiking and biking trails. Great location to build your dream home. All of the utilities are on site and ready to make your vision into your dream home. Must see 5+-acre property in sought-after Woodinville, located within the Monroe School District and ideal for development or a custom estate. There is a mobile home on the land that is fully operational. This peaceful, wooded setting offers privacy and natural beauty while remaining conveniently close to amenities and within approximately 35 minutes of Seattle. Mature evergreen and deciduous trees create a serene backdrop with endless possibilities for custom landscaping and enhancing the existing beauty. A rare opportunity to secure a substantial parcel in a prime location—perfect for buyers seeking space, options, and tranquility without sacrificing connectivity. Follow the signs to the parcel.

Source: NWMLS
Basic Details
  • Property Type: Land
  • Listing Type: For Sale
  • Listing ID: 2512498
  • Price: $649,880
  • View: Territorial
  • Lot Area: 5.01 Acre
  • Status: Active
  • Office Name: AQUA Real Estate
  • Agent Name: Nima Cyrus Bagha
  • Property Sub Type: Land
Features
  • Sewer Not Available
  • Utilities Electricity Connected, Septic Design Installed
Address Map
  • Country US
  • State WA
  • County Snohomish
  • City Woodinville
  • Zipcode 98077
  • Street: 232
  • Street Number: 12215
  • Street Suffix: Street
  • Longitude: W123° 55' 60''
  • Latitude: N47° 47' 15.5''
  • Directions: From Paradise Lake Rd take a left on 232nd St WA, the subject property is to your right.
  • Mls Area Major: 610 - Southeast Snohomish
  • Street Dir Suffix: SE
Neighborhood
  • Elementary School: Buyer To Verify
  • High School: Buyer To Verify
  • High School District: Monroe
  • Middle School: Buyer To Verify
Additional Information
  • Water Source: Private Well
  • Possible Use: Residential
  • On Market Date: 2026-04-23
  • Accessibility Features: Gated, Trail(s)
  • Lot Features: Cul-De-Sac, Corner Lot
  • Community Features: Trail(s), Gated
Financial
  • Tax Annual Amount: 4510
Listing Information
  • List Agent Mls Id: 47420
  • List Office Mls Id: 6381
  • Listing Term: Cash,Conventional,Farm Home Loan,FHA,Owner Will Carry,Rehab Loan,See Remarks,State Bond,VA Loan
  • Mls Status: Active
  • Modification Timestamp: 2026-04-25T03:24:11Z
  • Originating System Name: NWMLS
  • Special Listing Conditions: None
  • Status Change Timestamp: 2026-04-23T19:32:10Z
Rene  Orona
Rene Orona SKYLINE PROPERTIES, INC.
  • +1-425-891-8162
  • rene@brokerofrealestate.com
  • 50 116TH AVE SE STE 120 Bellevue, WA 98004, United States
  • +1-425-732-9211

Similar Properties

MLS On The Fly