0 Xxxx Ne State Highway 104, Kingston, Washington 98346

WA, Kingston
$429,950
  • 24.21 Acre
  • Land Property Type
  • Active Status
Property Description

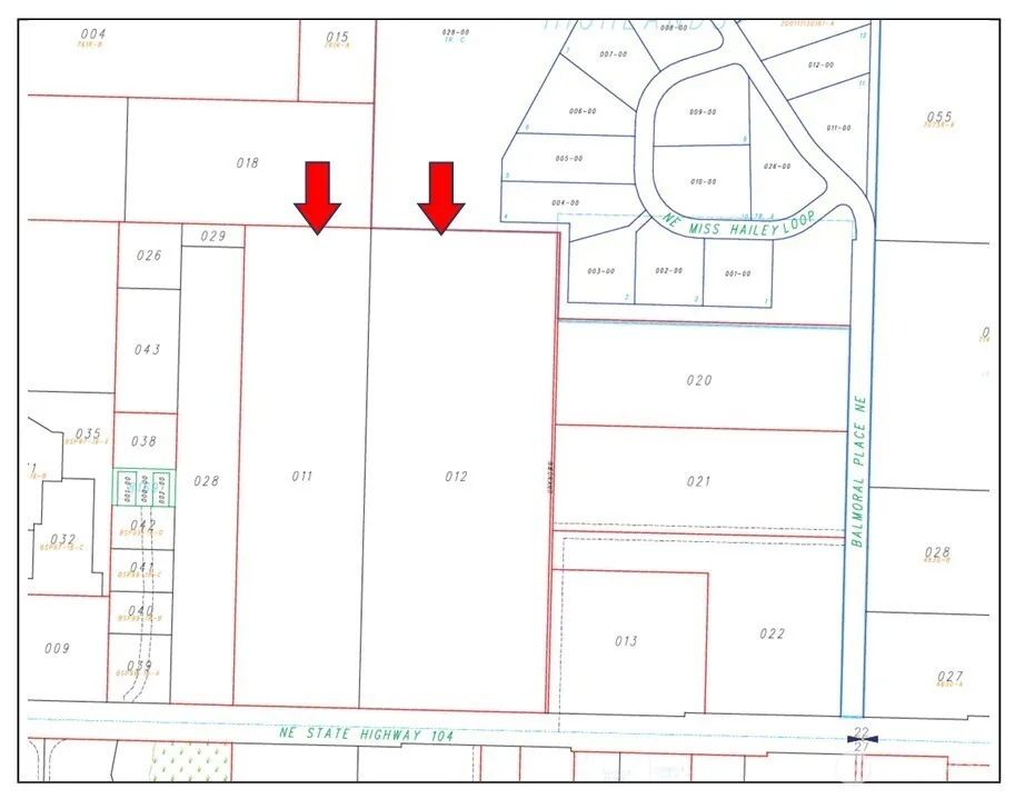
Develop your own homestead estate on 24 acres of freedom and possibility. These sprawling parcels, sold together, feel like a private countryside retreat, yet just a few minutes to the Kingston ferry and downtown shops, restaurants and amenities. Zoned Rural Protection, the land supports agricultural uses such as horses, small livestock, gardens, pastures and orchards making it ideal for those seeking a functional mini-farm or equestrian lifestyle. Unlock this future legacy property with farm-to-table potential or even off-grid lifestyle with the convenience of a great location. The acreage is mostly level and zoning support a large-footprint custom home with ADU potential + lots of room for shop, barn or maybe even an equestrian arena. The West parcel has a creek and partial wetland critical areas allowing for your own private park-like natural habitat. Septic and private well needed. Survey available but no other feasibility reports have been completed. Raw and untouched for decades, this land is ready for your vision. Sale includes 2 parcels: 22270230122007, 22270230112008. Buyer to verify all information.

Source: NWMLS
Basic Details
  • Property Type: Land
  • Listing Type: For Sale
  • Listing ID: 2500845
  • Price: $429,950
  • View: Territorial
  • Lot Area: 24.21 Acre
  • Status: Active
  • Office Name: Paramount Real Estate Group
  • Agent Name: Jesse Savage
  • Property Sub Type: Land
  • Waterfront: 1
Features
  • Sewer Not Available
  • Utilities Electricity Available
  • Waterfront Features Creek
Address Map
  • Country US
  • State WA
  • County Kitsap
  • City Kingston
  • Zipcode 98346
  • Street: State Highway 104
  • Street Number: 0 XXXX
  • Longitude: W123° 27' 53''
  • Latitude: N47° 48' 35.9''
  • Directions: Park off of NE State Route 104. Land is just East of the Hansville Rd NE intersection (Safeway). Use GPS App with boundary lines to find the South corners.
  • Mls Area Major: 162 - Kingston
  • Street Dir Prefix: NE
  • Zoning: Rural Protection (RP)
Neighborhood
  • High School District: North Kitsap #400
Additional Information
  • Water Source: Well Needed, Unknown - Verify
  • Possible Use: Agricultural,Residential,See Remarks
  • On Market Date: 2026-04-01
  • Lot Features: Paved, Secluded
Financial
  • Tax Annual Amount: 3731
Listing Information
  • Co List Agent Full Name: David R Knight
  • Co List Agent Mls Id: 25728
  • Co List Office Mls Id: 5045
  • Co List Office Name: KW Mountains to Sound Realty
  • List Agent Mls Id: 115433
  • List Office Mls Id: 5186
  • Listing Term: Cash,Conventional
  • Mls Status: Active
  • Modification Timestamp: 2026-04-01T22:16:12Z
  • Originating System Name: NWMLS
  • Special Listing Conditions: None
  • Status Change Timestamp: 2026-04-01T22:13:11Z
Rene  Orona
Rene Orona SKYLINE PROPERTIES, INC.
  • +1-425-891-8162
  • rene@brokerofrealestate.com
  • 50 116TH AVE SE STE 120 Bellevue, WA 98004, United States
  • +1-425-732-9211

Similar Properties

MLS On The Fly