0 Nka 67th Avenue S, Roy, Wa 98580

WA, Roy
$350,000
  • 27.63 Acre
  • Land Property Type
  • Expired Status
Property Description

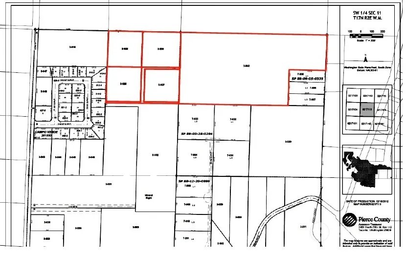
This is 6 parcels of land totaling 27.6 acres, road access unavailable, would best be used as a large single home sight or potentially a couple of homes/DADU setup, designated forest land per RCW 84.33 and zoned R10, developing land would require paying property tax difference for the past 8 years per Pierce County, buyer to do their own due diligence, largest parcel is 17.5 acres and this parcel could be used for home sight with restrictions, street access is off 64th Ave S that is accessed off 312th St S by way of Hinkleman Rd S, utilities are not on the property, buyer will need to verify any needed information to their own satisfaction. Pierce County Parcel numbers: 0217113042, 0217113026, 0217113027, 0217113029, 0217113030, 0217113700

Source: NWMLS
Basic Details
  • Property Type: Land
  • Listing Type: For Sale
  • Listing ID: 2246969
  • Price: $350,000
  • View: Territorial
  • Lot Area: 27.63 Acre
  • Status: Expired
  • Office Name: COMPASS
  • Agent Name: Jim Swanson
  • Property Sub Type: Land
Features
  • Sewer Not Available
  • Utilities Electricity Available
Address Map
  • Country US
  • State WA
  • County Pierce
  • City Roy
  • Zipcode 98580
  • Street: 67th
  • Street Number: 0 NKA
  • Street Suffix: Avenue
  • Longitude: W123° 29' 3.4''
  • Latitude: N46° 58' 26.3''
  • Directions: From Hwy 507, east on 320th St S, left on 72nd Ave S, right on Hinkleman Rd S, right on 312th St S, straight to sign as road turns left to become 64th
  • Mls Area Major: 119 - Roy/McKenna
  • Street Dir Suffix: S
Neighborhood
  • High School District: Bethel
Additional Information
  • Water Source: Well Needed, Unknown - Verify
  • Possible Use: Forestry,Residential,See Remarks
  • On Market Date: 2024-06-05
  • Lot Features: Dead End Street
Financial
  • Tax Annual Amount: 188
Listing Information
  • List Agent Mls Id: 72480
  • List Office Mls Id: 6652
  • Listing Term: Cash Out,Conventional
  • Mls Status: Expired
  • Modification Timestamp: 2024-11-30T08:18:15Z
  • Originating System Name: NWMLS
  • Special Listing Conditions: None
  • Status Change Timestamp: 2024-11-30T08:16:13Z
Rene  Orona
Rene Orona SKYLINE PROPERTIES, INC.
  • +1-425-891-8162
  • rene@brokerofrealestate.com
  • 50 116TH AVE SE STE 120 Bellevue, WA 98004, United States
  • +1-425-732-9211

Similar Properties

MLS On The Fly