5302 Sp 212th Street Sw, Mountlake Terrace, Wa 98043

WA, Mountlake Terrace
$369,000
  • 0.15 Acre
  • Land Property Type
  • Expired Status
Property Description

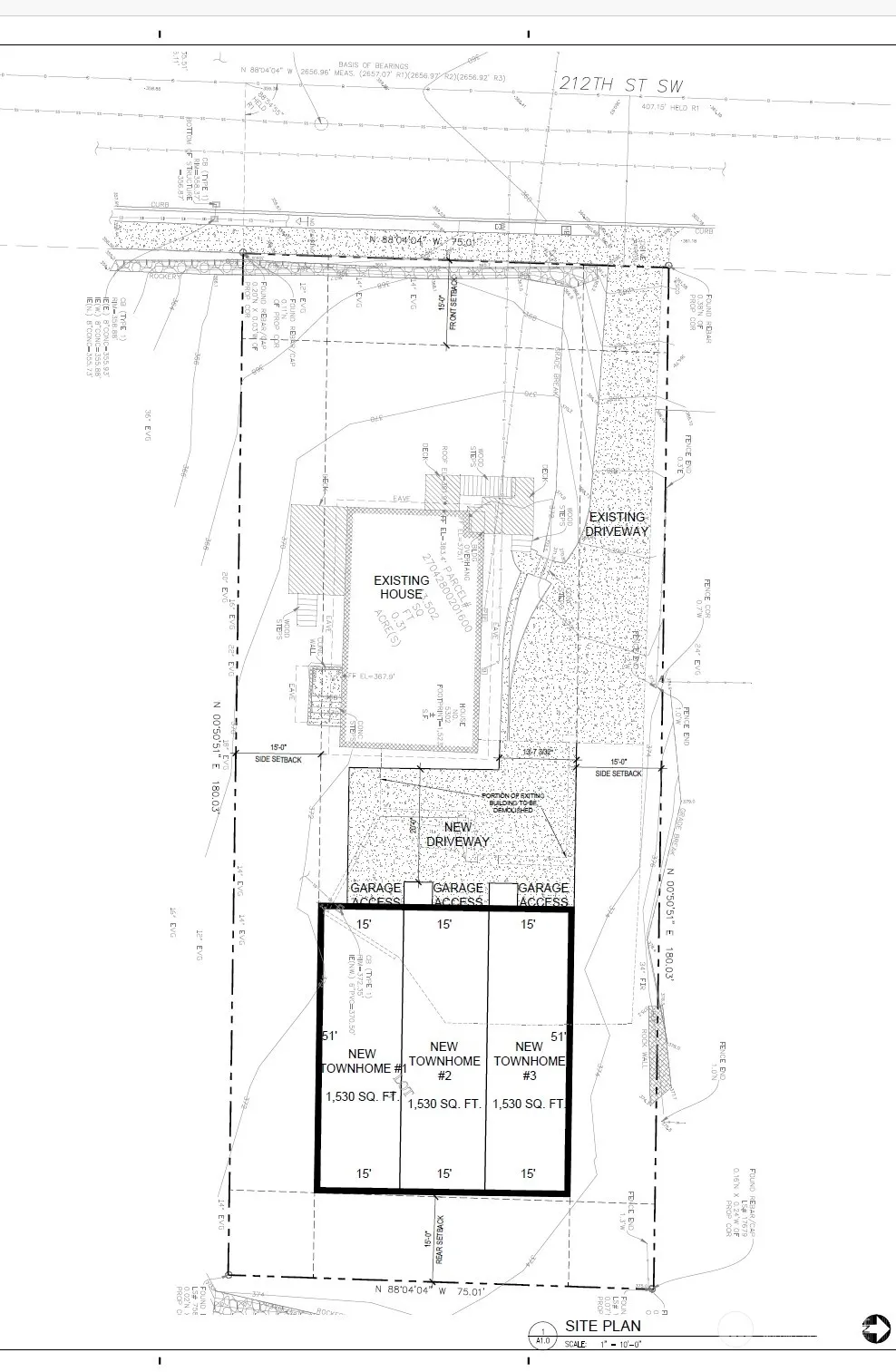
Pre-application completed with preliminary approval for a 3-townhouse site. Single family site also possible. Zoned multifamily, up to 50ft height limit. Neighboring property also being developed as a townhouse community with future sale prices in the 800-900Ks. Buyer will need to help the owner complete the land division. Owner will work with buyer to complete short plat, easements, increase driveway access, utilities…making the process as customized and easy as possible. Very fast 8-12 week turnaround on short plat. Close to light rail, easy commuter access. Mountlake Terrace is a pro-growth city, reasonable landlord/tenant rules, and very popular w/ the first time buyer community.

Source: NWMLS
Basic Details
  • Property Type: Land
  • Listing Type: For Sale
  • Listing ID: 2239917
  • Price: $369,000
  • Lot Area: 0.15 Acre
  • Status: Expired
  • Office Name: Coldwell Banker Danforth
  • Agent Name: Ben C. Snyder
  • Property Sub Type: Land
Features
  • Sewer In Street
  • Utilities Electricity Available, Natural Gas Available
Address Map
  • Country US
  • State WA
  • County Snohomish
  • City Mountlake Terrace
  • Zipcode 98043
  • Street: 212th
  • Street Number: 5302 SP
  • Street Suffix: Street
  • Longitude: W123° 41' 43.1''
  • Latitude: N47° 48' 22.4''
  • Directions: Follow GPS to 5302 212th St SW Mountlake Terrace, WA
  • Mls Area Major: 730 - Southwest Snohomish
  • Street Dir Suffix: SW
Neighborhood
  • Elementary School: Buyer To Verify
  • High School: Buyer To Verify
  • High School District: Snohomish
  • Middle School: Buyer To Verify
Additional Information
  • Water Source: In Street, Available
  • Possible Use: Multi-Family
  • On Market Date: 2024-05-22
  • Lot Features: Paved
Financial
  • Tax Annual Amount: 100
Listing Information
  • List Agent Mls Id: 66172
  • List Office Mls Id: 1021
  • Listing Term: Cash Out
  • Mls Status: Expired
  • Modification Timestamp: 2024-08-10T07:18:10Z
  • Originating System Name: NWMLS
  • Special Listing Conditions: See Remarks
  • Status Change Timestamp: 2024-08-10T07:15:19Z
Rene  Orona
Rene Orona SKYLINE PROPERTIES, INC.
  • +1-425-891-8162
  • rene@brokerofrealestate.com
  • 50 116TH AVE SE STE 120 Bellevue, WA 98004, United States
  • +1-425-732-9211

Similar Properties

MLS On The Fly