355 E Ragland Road, Longview, Washington 98632

WA, Longview
$439,900
  • 60.49 Acre
  • Land Property Type
  • Active Status
Property Description

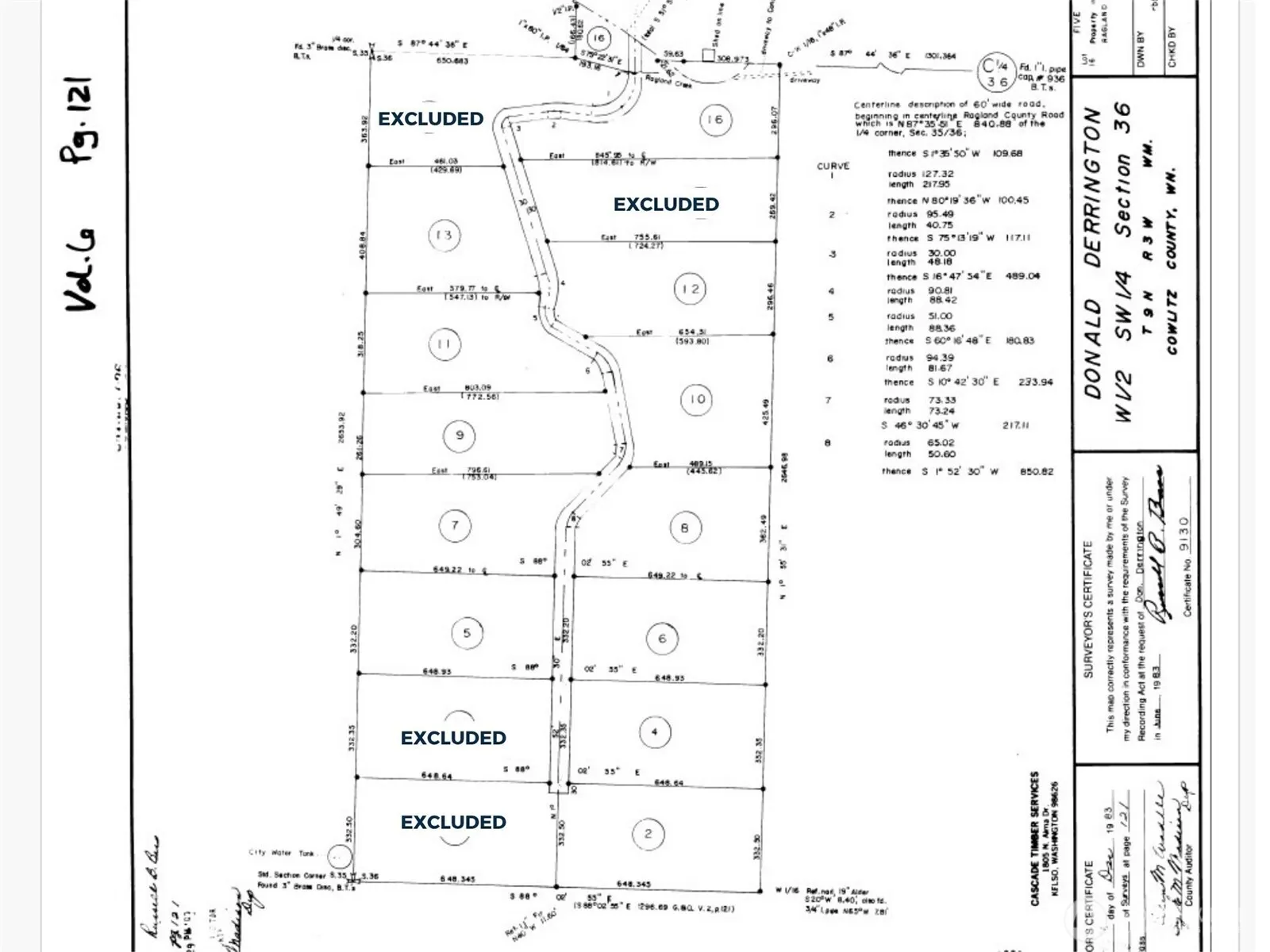
60+ acre property with 12 underlying 5-acre lots in the Coal Creek community area. The underlying lots provide you with the potential ability to obtain individual tax id numbers for each lot without completing a formal subdivision process, though buyer should verify this with Cowlitz County. This site could also serve as a very private estate or the ability to create multiple homes with friends or relatives. Expansive territorial and mountain views! Electric and water are located in the street and the soils are all silt loam variations which are generally suitable for septic installation. The topography gradually rises as you move southward from paved Ragland Road via an existing road system that runs through the heart of the property. There’s a stream known as Goose Hollow that runs through a portion of the property and abundant wildlife everywhere. No HOA or CC&Rs. Situated about 10 miles from both Castle Rock and Longview.

Source: NWMLS
Basic Details
  • Property Type: Land
  • Listing Type: For Sale
  • Listing ID: 2497274
  • Price: $439,900
  • View: Mountains,Territorial
  • Lot Area: 60.49 Acre
  • Status: Active
  • Office Name: Windermere Prof Partners
  • Agent Name: Drew Staudt
  • Property Sub Type: Land
  • Waterfront: 1
Features
  • Sewer Not Available
  • Utilities Electricity Available
  • Waterfront Features Creek
Address Map
  • Country US
  • State WA
  • County Cowlitz
  • City Longview
  • Zipcode 98632
  • Street: Ragland
  • Street Number: 355
  • Street Suffix: Road
  • Longitude: W124° 59' 33.2''
  • Latitude: N46° 13' 7.5''
  • Directions: From Ocean Beach Hwy: North on Coal Creek Rd; Right on Ragland Road; property access on the right-hand side directly across from 354 Ragland Rd & before Ward Rd.
  • Mls Area Major: 412 - West County
  • Street Dir Prefix: E
  • Zoning: UZO
Neighborhood
  • High School District: Longview
Additional Information
  • Water Source: In Street, Available
  • Possible Use: Forestry,Residential
  • On Market Date: 2026-03-27
  • Lot Features: Paved, Secluded
Financial
  • Tax Annual Amount: 297
Listing Information
  • List Agent Mls Id: 111312
  • List Office Mls Id: 902
  • Listing Term: Cash,Conventional
  • Mls Status: Active
  • Modification Timestamp: 2026-03-27T23:32:11Z
  • Originating System Name: NWMLS
  • Special Listing Conditions: None
  • Status Change Timestamp: 2026-03-27T23:10:55Z
Rene  Orona
Rene Orona SKYLINE PROPERTIES, INC.
  • +1-425-891-8162
  • rene@brokerofrealestate.com
  • 50 116TH AVE SE STE 120 Bellevue, WA 98004, United States
  • +1-425-732-9211

Similar Properties

MLS On The Fly