100 Whitefish Drive , Cashmere, Wa 98815

WA, Cashmere
$2,600,000
  • 3.70 Acre
  • Land Property Type
  • Expired Status
Property Description

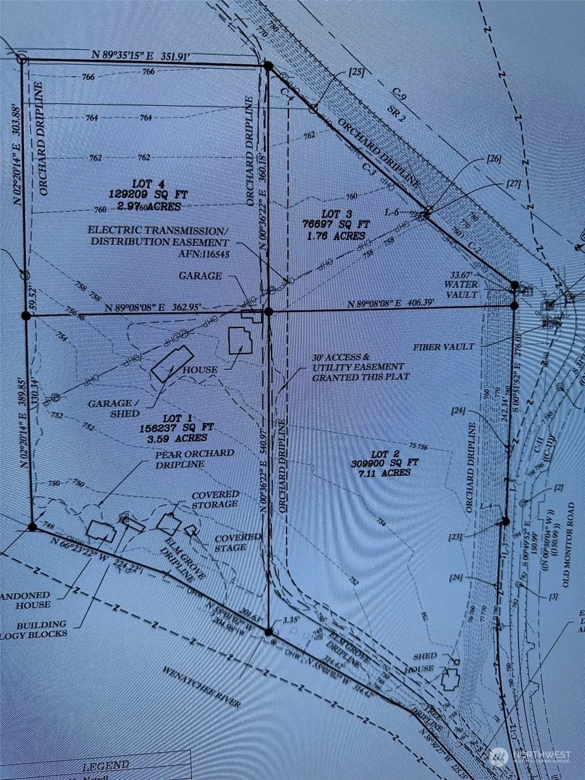
Located in a desirable area, this property combines natural beauty with practical features, making it an excellent opportunity for various uses. 3.7 acres of level land, this parcel offers roughly 450ft of low bank riverfront on the Wenatchee River. The land includes irrigation water, a shared domestic well, and utilities on the property or nearby. Property contains a farmhouse built in 1910 along with other older outbuildings as well. There are a variety of land uses permitted under the City of Cashmere’s zoning code for commercial and light industrial purposes. Don’t miss your chance to see this property.

Source: NWMLS
Basic Details
  • Property Type: Land
  • Listing Type: For Sale
  • Listing ID: 2316593
  • Price: $2,600,000
  • View: Lake,Mountain(s),Territorial
  • Lot Area: 3.70 Acre
  • Status: Expired
  • Office Name: Laura Mounter Real Estate
  • Agent Name: Cameron Clennon
  • Property Sub Type: Land
  • Waterfront: 1
Features
  • Sewer Not Available
  • Utilities Electricity Available, See Irrigation Comm
  • Waterfront Features Bank-Low, River
Address Map
  • Country US
  • State WA
  • County Chelan
  • City Cashmere
  • Zipcode 98815
  • Street: Whitefish
  • Street Number: 100
  • Street Suffix: Drive
  • Longitude: W121° 33' 1.6''
  • Latitude: N47° 30' 47.8''
  • Directions: Take HWY2 towards Cashmere, and take the Old Monitor Rd turn towards Anjou Bakery. Follow all the road to Whitefish Dr and turn onto the property. Electronic maps will get you to the property.
  • Mls Area Major: 963 - Cashmere
Neighborhood
  • Elementary School: Vale Elem
  • High School: Cashmere High
  • High School District: Cashmere
  • Middle School: Cashmere Mid
Additional Information
  • Water Source: Shared Well
  • Possible Use: Commercial,Industrial
  • On Market Date: 2024-12-13
  • Lot Features: Dead End Street, Paved
Financial
  • Tax Annual Amount: 2682
Listing Information
  • List Agent Mls Id: 110577
  • List Office Mls Id: 562
  • Listing Term: Cash Out,Conventional,Owner Financing
  • Mls Status: Expired
  • Modification Timestamp: 2025-04-03T09:38:11Z
  • Originating System Name: NWMLS
  • Special Listing Conditions: None
  • Status Change Timestamp: 2025-04-03T07:15:28Z
Rene  Orona
Rene Orona SKYLINE PROPERTIES, INC.
  • +1-425-891-8162
  • rene@brokerofrealestate.com
  • 50 116TH AVE SE STE 120 Bellevue, WA 98004, United States
  • +1-425-732-9211

Similar Properties

MLS On The Fly