22811 Meridian Avenue E, Graham, Wa 98338

WA, Graham
$2,499,990
  • 5.22 Acre
  • Land Property Type
  • Canceled Status
Property Description

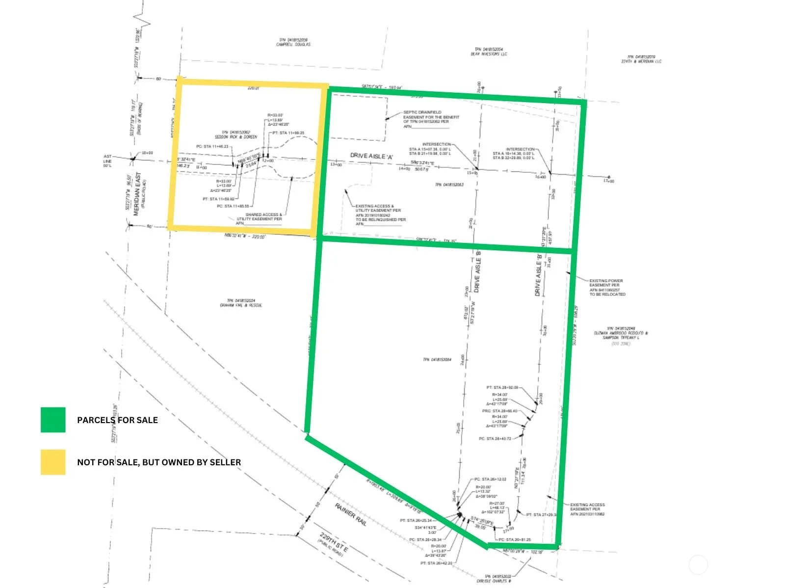
Fabulous opportunity for a mini storage/RV facility in Graham! Two connected parcels located off Meridian, approved for a mini storage facility. The sale includes approved civil plans, conceptual drawings for single story or muti-story design. Located in a high-visibility, high-traffic area, this site is ideal for capitalizing on the increasing need for storage solutions in this growing community. Whether you’re looking to establish a single- or multi-story facility, this is a fantastic opportunity!

Source: NWMLS
Basic Details
  • Property Type: Land
  • Listing Type: For Sale
  • Listing ID: 2326669
  • Price: $2,499,990
  • Lot Area: 5.22 Acre
  • Status: Canceled
  • Office Name: John L. Scott, Inc.
  • Agent Name: Rick W. Seddon
  • Property Sub Type: Land
Features
  • Sewer Not Available
  • Utilities Electricity Available, Septic Design Installed
Address Map
  • Country US
  • State WA
  • County Pierce
  • City Graham
  • Zipcode 98338
  • Street: Meridian
  • Street Number: 22811
  • Street Suffix: Avenue
  • Longitude: W123° 42' 23.2''
  • Latitude: N47° 2' 54.7''
  • Directions: From WA- 512 W headed towards I-5 take the exit towards WA-161 S. Hill/Eatonville. Turn left on 31st Ave, becomes Meridian. Continue 7 miles. Property is on left; access is via business parking lot.
  • Mls Area Major: 89 - Graham/Frederickson
  • Street Dir Suffix: E
Neighborhood
  • High School District: Bethel
Additional Information
  • Water Source: Drilled Well, Available
  • Possible Use: Commercial
  • On Market Date: 2025-01-28
Financial
  • Tax Annual Amount: 3310
Listing Information
  • List Agent Mls Id: 11247
  • List Office Mls Id: 905
  • Listing Term: Cash Out,Conventional
  • Mls Status: Cancelled
  • Modification Timestamp: 2025-03-24T23:54:10Z
  • Originating System Name: NWMLS
  • Special Listing Conditions: None
  • Status Change Timestamp: 2025-03-24T23:52:37Z
Rene  Orona
Rene Orona SKYLINE PROPERTIES, INC.
  • +1-425-891-8162
  • rene@brokerofrealestate.com
  • 50 116TH AVE SE STE 120 Bellevue, WA 98004, United States
  • +1-425-732-9211

Similar Properties

MLS On The Fly