2107 Rd 20 Ne, Soap Lake, Wa 98851

WA, Soap Lake
$133,000
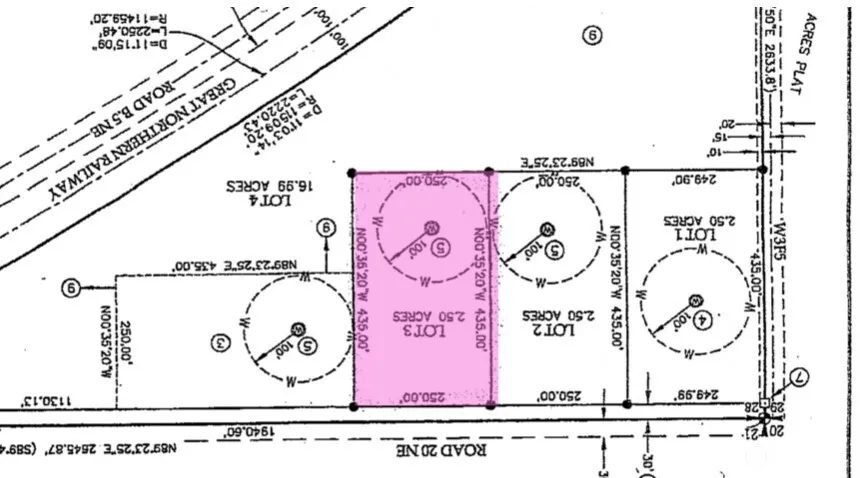
  • 2.50 Acre
  • Land Property Type
  • Expired Status
Property Description

Are you ready to start building without going through the hassle of putting in utilities and applying for all the permits? This property is for you! With 2.5 acres and plans for a 1497 sq ft home 2 car garage already approved and ready to be built. Water well and electricity on property, 3 bd septic system design has been approved and ready to be built. All the homework has been done for you and now you can just buy and start building. Corners of property are marked. Reach out with any questions!

Source: NWMLS
Basic Details
  • Property Type: Land
  • Listing Type: For Sale
  • Listing ID: 2343774
  • Price: $133,000
  • View: Territorial
  • Lot Area: 2.50 Acre
  • Status: Expired
  • Office Name: Keller Williams Columbia Basin
  • Agent Name: Tatyana Reynolds
  • Property Sub Type: Land
Features
  • Sewer Not Available
  • Utilities Electricity Connected, Septic Design Applied
Address Map
  • Country US
  • State WA
  • County Grant
  • City Soap Lake
  • Zipcode 98851
  • Street: RD 20
  • Street Number: 2107
  • Longitude: W120° 33' 12.6''
  • Latitude: N47° 23' 0.7''
  • Directions: Head east on WA-28 E towards RD 20 NE. Turn right onto RD 20 NE. Destination is on right. (approx 1 mile)
  • Mls Area Major: 291 - North Central Grant County
  • Street Dir Suffix: NE
Neighborhood
  • High School District: Soap Lake
Additional Information
  • Water Source: Private Well
  • Possible Use: Residential
  • On Market Date: 2025-03-12
Financial
  • Tax Annual Amount: 54.46
Listing Information
  • List Agent Mls Id: 135482
  • List Office Mls Id: 6663
  • Listing Term: Cash Out,Conventional
  • Mls Status: Expired
  • Modification Timestamp: 2025-09-07T07:17:11Z
  • Originating System Name: NWMLS
  • Special Listing Conditions: None
  • Status Change Timestamp: 2025-09-07T07:15:58Z
Rene  Orona
Rene Orona SKYLINE PROPERTIES, INC.
  • +1-425-891-8162
  • rene@brokerofrealestate.com
  • 50 116TH AVE SE STE 120 Bellevue, WA 98004, United States
  • +1-425-732-9211

Similar Properties

MLS On The Fly