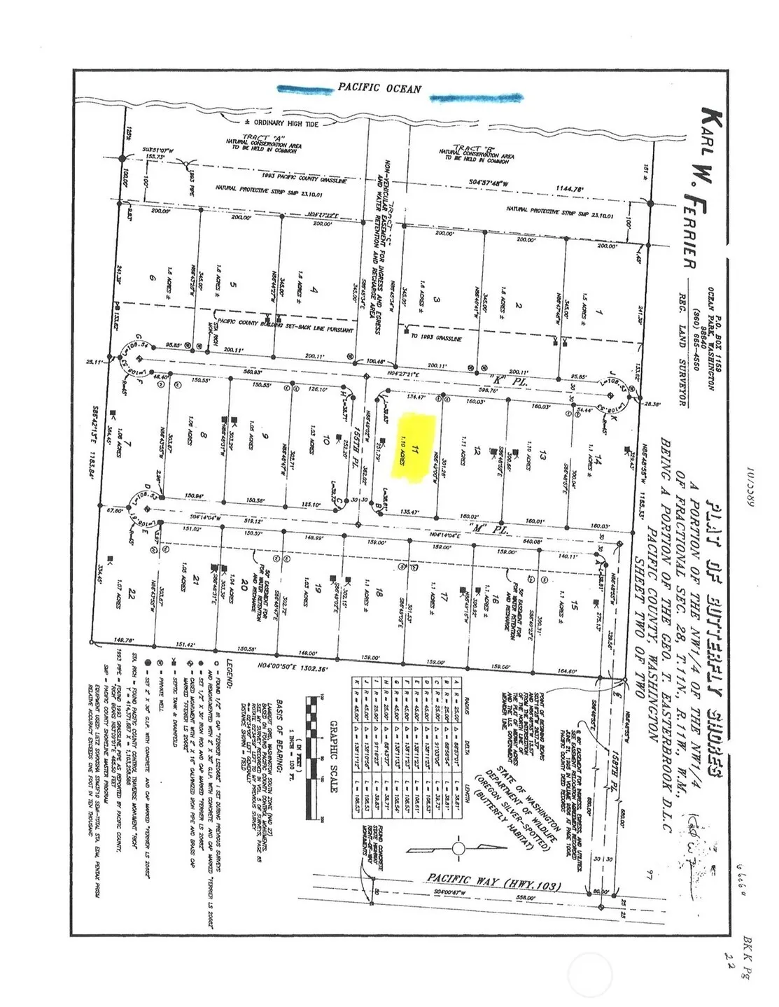
15606 J Place , Long Beach, Wa 98631

WA, Long Beach
$285,000
  • 1.11 Acre
  • Land Property Type
  • Closed Status
Property Description

BUTTERFLY SHORES…BEST OF THE BEST. Pacific Ocean to west, 20+ nature preserve to east. Low density gated community only 14 residental acre + lots. Privacy & pristene beauty abound in this one of a kind plat. Only a few million dollar plus homes are currently built. Perfect setting to build your ultimate beach dream home. OCEAN VIEW Corner Lot. Beautiful 2nd story view over a wide view corridor across reserve area on ocean front & deeded ocean access. Lot runs street to street for dual access. Rural zoning allows for horses. HOA and C,C & R’s protect the integrity of this amazing property. This is the only property for sale in this plat there is no other choice like it. A true must see, an awesome opportunity not to be missed. OWNER TERMS!

Source: NWMLS
Basic Details
  • Property Type: Land
  • Listing Type: For Sale
  • Listing ID: 2369928
  • Price: $285,000
  • View: Ocean,See Remarks,Territorial
  • Lot Area: 1.11 Acre
  • Status: Closed
  • Office Name: Century 21 Pacific Realty
  • Agent Name: Rhonda Husbeck
  • Property Sub Type: Land
Features
  • Sewer Not Available
  • Utilities Electricity Available, See Remarks
Address Map
  • Country US
  • State WA
  • County Pacific
  • City Long Beach
  • Zipcode 98631
  • Street: J
  • Street Number: 15606
  • Street Suffix: Place
  • Longitude: W125° 56' 35.3''
  • Latitude: N46° 24' 55.5''
  • Directions: USE GPS. North on Pacific Hwy 103 from Long Beach to 158th Place. West on 158th see Iron Butterfly on Gate. Butterfly Shores is a gated community. Buyers need a broker to open gate for all showings.
  • Mls Area Major: 930 - South Pacific County
  • Zoning: R-R
Neighborhood
  • Elementary School: Long Beach Elem
  • High School: Ilwaco Snr High
  • High School District: Ocean Beach
  • Middle School: Hilltop Middle
Additional Information
  • Lot Size Dimensions: 160 x 302
  • Water Source: See Remarks, Well Needed, Private Well
  • Possible Use: Residential,See Remarks
  • On Market Date: 2025-05-02
  • Accessibility Features: CCRs, Gated
  • Lot Features: Dead End Street, Paved, Secluded, Corner Lot
  • Community Features: CCRs, Gated
Financial
  • Association Fee: 600
  • Association Fee Frequency: Annually
  • Association Fee Includes: See Remarks
  • Association Yn: 1
  • Tax Annual Amount: 1280
Listing Information
  • List Agent Mls Id: 62043
  • List Office Mls Id: 4307
  • Listing Term: Cash Out,Conventional,Owner Financing
  • Mls Status: Sold
  • Modification Timestamp: 2025-10-31T11:04:38Z
  • Originating System Name: NWMLS
  • Special Listing Conditions: None
  • Status Change Timestamp: 2025-10-01T01:42:04Z
Rene  Orona
Rene Orona SKYLINE PROPERTIES, INC.
  • +1-425-891-8162
  • rene@brokerofrealestate.com
  • 50 116TH AVE SE STE 120 Bellevue, WA 98004, United States
  • +1-425-732-9211

Similar Properties

MLS On The Fly