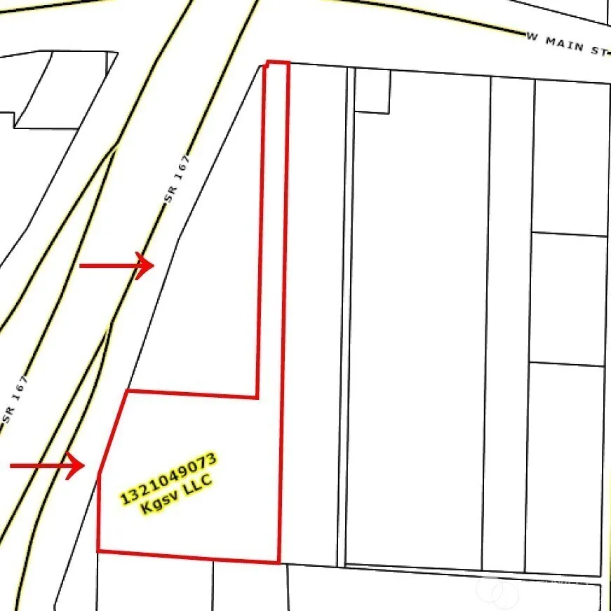
1408 W Main Street, Auburn, Washington 98001

WA, Auburn
$799,000
  • 5.75 Acre
  • Commercial Sale Property Type
  • 1969 Year Built
  • Active Status
Property Description

Investor alert! Don’t miss this incredible opportunity to purchase land in the valley, Commercial Zoned. The seller also owns the adjacent property, which is currently being used for commercial purposes. Buyers are advised to verify all information to their own satisfaction, as the seller has not conducted any surveys or studies on the property. Prime location with easy access to Highway 167, just minutes from downtown Auburn. Enjoy close proximity to endless amenities, including the Outlet Collection and much more.

Source: NWMLS
Basic Details
  • Property Type: Commercial Sale
  • Listing Type: For Sale
  • Listing ID: 2493963
  • Price: $799,000
  • Year Built: 1969
  • Lot Area: 5.75 Acre
  • Status: Active
  • Office Name: John L. Scott, Inc
  • Agent Name: Saab Badyal
  • Property Sub Type: Commercial Industrial
  • Roof: Torch Down
Features
  • Heating System Heat Pump
  • Cooling System None
  • Exterior Features Cement/Concrete
  • Flooring Concrete
  • Sewer Sewer Connected
Address Map
  • Country US
  • State WA
  • County King
  • City Auburn
  • Zipcode 98001
  • Street: Main
  • Street Number: 1408
  • Street Suffix: Street
  • Longitude: W123° 45' 4.5''
  • Latitude: N47° 18' 19.4''
  • Directions: 18 W to Auburn, exit C ST SW, L C St SW, L W Main St, property is on your left.
  • Mls Area Major: 310 - Auburn
  • Street Dir Prefix: W
Additional Information
  • Possible Use: Business,Commercial
  • On Market Date: 2026-03-20
  • Foundation Details: Poured Concrete
  • Construction Materials: Cement
Listing Information
  • List Agent Mls Id: 63372
  • List Office Mls Id: 3647
  • Listing Term: Cash,Conventional
  • Mls Status: Active
  • Modification Timestamp: 2026-03-31T22:41:12Z
  • Originating System Name: NWMLS
  • Special Listing Conditions: None
  • Status Change Timestamp: 2026-03-20T18:20:57Z
Rene  Orona
Rene Orona SKYLINE PROPERTIES, INC.
  • +1-425-891-8162
  • rene@brokerofrealestate.com
  • 50 116TH AVE SE STE 120 Bellevue, WA 98004, United States
  • +1-425-732-9211

Similar Properties

MLS On The Fly