1707 SW Decatur Street SW, Olympia, WA 98502

WA, Olympia
$1,225,000
  • 4 Beds
  • 3 Bath
  • 2,226 Sqft
  • Residential Property Type
  • 1973 Year Built
  • Incomplete Status
Property Description

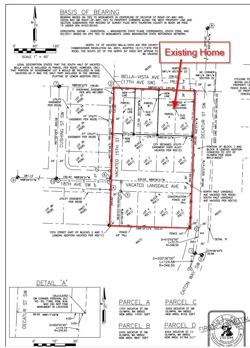
Welcome to 1707 Decatur St SW, where the promise of unparalleled development potential meets modern comfort. Situated in the heart of Olympia, these four congruent parcels zoned R-6-12 offer an exceptional opportunity for investors and developers alike. Unlock the full potential of this property with a visionary housing development. Whether crafting a collection of single-family homes or exploring multi-unit dwellings, the expansive acreage and favorable zoning present limitless opportunities. Recently surveyed with completed BLA – capitalize on the growing demand for housing in Olympia and transform this close in property to meet housing demand in the area. Includes 4 parcels: 59000100100, 59000100500, 59000100800, 59000800100

Source: NWMLS
Basic Details
  • Property Type: Residential
  • Listing Type: For Sale
  • Listing ID: 2214189
  • Price: $1,225,000
  • Bedrooms: 4
  • Bathrooms: 3
  • Square Footage: 2,226 Sqft
  • Year Built: 1973
  • Lot Area: 2.13 Acre
  • Status: Incomplete
  • Office Name: HomeSmart Real Estate Assoc
  • Agent Name: Randall Kinney
  • Full Bathrooms: 2
  • Property Sub Type: Residential
  • Roof: Composition
Features
  • Heating System Heat Pump, Ductless HP-Mini Split
  • Cooling System Heat Pump, Ductless HP-Mini Split
  • Basement None
  • Fireplace Wood Burning
  • Parking Attached Garage, RV Parking
  • Architectural Style Traditional
  • Exterior Features Cement Planked, Brick
  • Flooring Carpet, Vinyl Plank
  • Interior Features Bath Off Primary, Wall to Wall Carpet, Water Heater
  • Sewer Septic Tank, Available
Appliances
  • Dishwasher(s)
  • Dryer(s)
  • Disposal
  • Refrigerator(s)
  • Stove(s)/Range(s)
  • Washer(s)
Address Map
  • Country US
  • State WA
  • County Thurston
  • City Olympia
  • Zipcode 98502
  • Street: Decatur
  • Street Number: 1707
  • Street Suffix: Street
  • Longitude: W123° 4' 33.6''
  • Latitude: N47° 1' 55.9''
  • Direction Faces: East
  • Directions: North on Black Lake Blvd SW to East on 9th Ave SW. Turn right (South) on Decatur St. SW. The home and vacant land are at the end of Decatur St SW at end of street at dead end.
  • Mls Area Major: 444 - Olympia Westside
  • Street Dir Prefix: SW
  • Street Dir Suffix: SW
  • Zoning: R-6-12
Neighborhood
  • Elementary School: Mclane Elem
  • High School: Capital High
  • High School District: Olympia
  • Middle School: Marshall Middle
Additional Information
  • Lot Size Dimensions: 235.99 x 395.60
  • Water Source: Individual Well, See Remarks
  • On Market Date: 2024-03-22
  • Lot Features: Dead End Street, Paved, Value In Land
  • Levels: Two
  • Garage: 2
  • Construction Materials: Cement Plank, Brick
  • Attached Garage Yn: 1
Financial
  • Tax Annual Amount: 9940.49
Listing Information
  • List Agent Mls Id: 137537
  • List Office Mls Id: 5452
  • Listing Term: Cash Out,Conventional
  • Mls Status: Sale Fail Release
  • Modification Timestamp: 2025-03-15T18:16:10Z
  • Originating System Name: NWMLS
  • Special Listing Conditions: None
  • Status Change Timestamp: 2025-03-15T18:14:22Z
Rene  Orona
Rene Orona SKYLINE PROPERTIES, INC.
  • +1-425-891-8162
  • rene@brokerofrealestate.com
  • 50 116TH AVE SE STE 120 Bellevue, WA 98004, United States
  • +1-425-732-9211

Similar Properties

MLS On The Fly