18022 SE 250th Place , Covington, WA 98042

WA, Covington
$295,000
  • 0.13 Acre
  • Land Property Type
  • Closed Status
Property Description

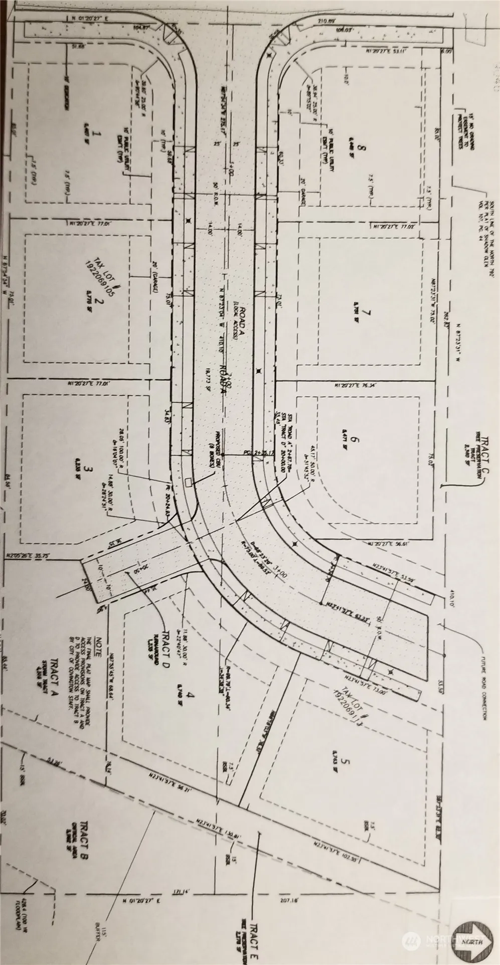
Lot 6 is on a curve, West side is 76.34 feet deep and North property line is 75 feet wide corner lot, part of new 8 lot subdivision, currently a dead end street. Other lots are available for sale. CC&R language is proposed and is not recorded, will be recorded prior to closing with Buyer review. A 1/8 responsibility for Puget Sound Energy Street Light electricity, bill averages about $50.00 per month therefore $6.25 per lot per month Park at street entrance and walk lots, or use key box at Entrance.

Source: NWMLS
Basic Details
  • Property Type: Land
  • Listing Type: For Sale
  • Listing ID: 2208760
  • Price: $295,000
  • Lot Area: 0.13 Acre
  • Status: Closed
  • Office Name: Hickel Real Estate
  • Agent Name: Bradley K. Hickel
  • Property Sub Type: Land
Features
  • Sewer On Property
  • Utilities Natural Gas Available, Electricity Connected, See Remarks, Common Area Maintenance
Address Map
  • Country US
  • State WA
  • County King
  • City Covington
  • Zipcode 98042
  • Street: 250th
  • Street Number: 18022
  • Street Suffix: Place
  • Longitude: W123° 53' 57.4''
  • Latitude: N47° 22' 40.3''
  • Directions: Hwy 18, SE 256th street exit, West on 256th, North on 180th Ave SE, Subdivision on East side of 180th Ave SE, North of Wax road.
  • Mls Area Major: 330 - Kent
  • Street Dir Prefix: SE
Neighborhood
  • Elementary School: Crestwood Elem
  • High School: Kentwood High
  • High School District: Kent
  • Middle School: Mattson Middle
Additional Information
  • Water Source: On Property
  • Possible Use: Residential
  • On Market Date: 2024-03-10
  • Accessibility Features: CCRs
  • Lot Features: Dead End Street, Paved, Curbs, Sidewalk, Cul-De-Sac, Corner Lot
  • Community Features: CCRs
Financial
  • Association Fee Includes: Common Area Maintenance, See Remarks
  • Tax Annual Amount: 2490.57
Listing Information
  • List Agent Mls Id: 92182
  • List Office Mls Id: 5076
  • Listing Term: Cash Out,Conventional
  • Mls Status: Sold
  • Modification Timestamp: 2024-11-14T16:33:13Z
  • Originating System Name: NWMLS
  • Special Listing Conditions: None
  • Status Change Timestamp: 2024-05-23T05:55:48Z
Rene  Orona
Rene Orona SKYLINE PROPERTIES, INC.
  • +1-425-891-8162
  • rene@brokerofrealestate.com
  • 50 116TH AVE SE STE 120 Bellevue, WA 98004, United States
  • +1-425-732-9211

Similar Properties

MLS On The Fly