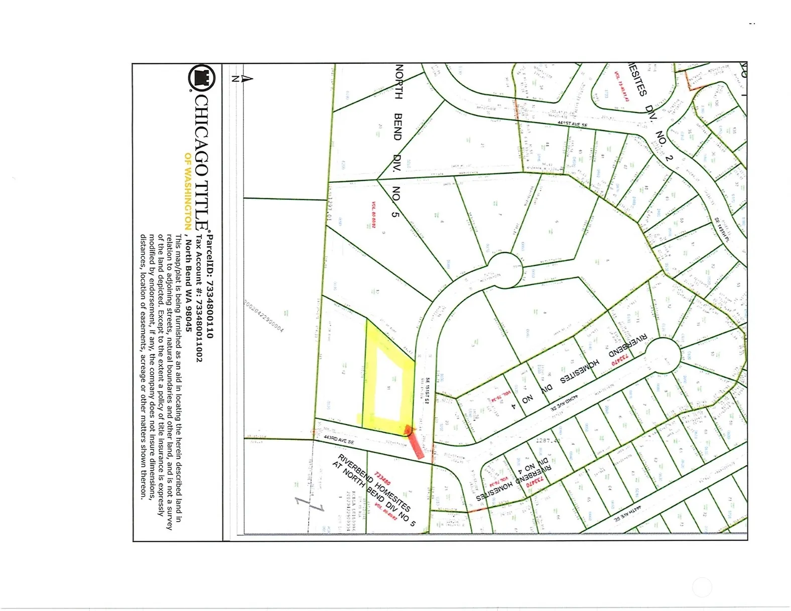
0 XX 443 Avenue SE, North Bend, WA 98045

WA, North Bend
$49,000
  • 0.80 Acre
  • Land Property Type
  • Closed Status
Property Description

Take advantage of all that North Bend has to offer with this level .8/acre lot. Located on a private road, neighboring parcels are all similar size or larger giving you the space you want. Power is at the street, water and gas available. Excellent location with easy access to I 90 and recreation. Wetlands present, septic not feasible. Possible recreational use, or tiny home?

Source: NWMLS
Basic Details
  • Property Type: Land
  • Listing Type: For Sale
  • Listing ID: 2193697
  • Price: $49,000
  • Lot Area: 0.80 Acre
  • Status: Closed
  • Office Name: John L. Scott, Inc.
  • Agent Name: Alison Carter
  • Property Sub Type: Land
Features
  • Sewer Not Available
  • Utilities Electricity Available, Natural Gas Available
Address Map
  • Country US
  • State WA
  • County King
  • City North Bend
  • Zipcode 98045
  • Street: 443rd
  • Street Number: 0 XX
  • Street Suffix: Avenue
  • Longitude: W122° 15' 3.2''
  • Latitude: N47° 28' 6.1''
  • Directions: Address of neighbor for GPS- 15055 443rd Ave Se North Bend. From Cedar Falls Way turn into Riverbend on 447th Ave. Follow the main road, turn right on 444th Ave, right on 151st Ave, left on 443rd.
  • Mls Area Major: 540 - East of Lake Sammamish
  • Street Dir Suffix: SE
Neighborhood
  • High School District: Snoqualmie Valley
Additional Information
  • Water Source: In Street, Available
  • On Market Date: 2024-01-27
  • Accessibility Features: CCRs, Playground, Park
  • Lot Features: Dead End Street, Paved
  • Community Features: Park, Playground, CCRs
Financial
  • Association Fee: 440
  • Association Fee Frequency: Annually
  • Association Yn: 1
  • Tax Annual Amount: 615
Listing Information
  • List Agent Mls Id: 105594
  • List Office Mls Id: 6043
  • Listing Term: Cash Out,Conventional
  • Mls Status: Sold
  • Modification Timestamp: 2025-11-26T19:10:10Z
  • Originating System Name: NWMLS
  • Special Listing Conditions: None
  • Status Change Timestamp: 2024-12-24T00:30:32Z
Rene  Orona
Rene Orona SKYLINE PROPERTIES, INC.
  • +1-425-891-8162
  • rene@brokerofrealestate.com
  • 50 116TH AVE SE STE 120 Bellevue, WA 98004, United States
  • +1-425-732-9211

Similar Properties

MLS On The Fly